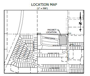
Foxtail Ridge Multi-Family May 26, 2021 Project Location: Council Street NE Project Highlights: This is a $25 million dollar development of duplexes and market-rate apartments planned for the future Tower Terrace Road at Council Street NE, an important growth corridor along the City’s northern edge Work has begun on 124 units in 36 duplexes and five apartment buildings.